Browsing: Innovation
Updated September 8th: article originally posted September 6th. Ahead of its “Made By Google” event and the launch of the…
Nir Shavit, a prominent MIT Professor, is acclaimed for his groundbreaking contributions to computer science. With a Ph.D. from Hebrew…
Pain management is a tricky area for physicians: they don’t want patients suffering, but current treatment options are limited, with…
If you have read any of my articles, you know that I am a huge proponent (and consumer) of non-invasive…
Through the use of technology and innovation coupled with biodiversity, Brazil’s CERTI Foundation is working on projects to ramp up…
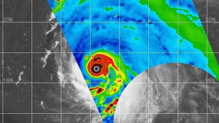
Hurricane Lee has a rather common name, but it is far from a common storm. At the time of writing,…
Measuring show “ratings” is not really a thing anymore in the modern streaming era, but Nielsen is doing its best…
Bobbi is SVP, Software Engineering at Loopio. She is a technology leader with over 25 years of diverse experience in…
Thanos Tsavlis is the CEO and Co-Founder of Cyberscope. In the dynamic realm of Web3, the concept of decentralization has…
Husein Sharaf leads Cloudforce, an award-winning D.C.-area consultancy focused on deploying, managing and securing cloud infrastructure. “Unlock The Hidden Power:…












